🌋 Актуально: Завтра может произойти извержение крупнейшего подводного вулкана у берегов США — учёные наготове
💥 Учёные бьют тревогу! Гигантский вулкан на дне Тихого океана может извергнуться в любую минуту — и мы знаем, что происходит прямо сейчас!

⸻
📌 Кратко:
Подводный вулкан Axial Seamount (Осевая подводная гора), расположенный в 480 км от побережья Орегона, демонстрирует резкий всплеск сейсмической активности и подъем морского дна. Учёные предупреждают: извержение может произойти в ближайшие 24 часа, хотя сроки остаются непредсказуемыми. Это станет первым крупным извержением в северо-западной части Тихого океана с 2015 года.
Осевая подводная гора — это подводный вулкан шириной в милю, который находится в 300 милях от побережья Орегона на глубине более 4900 футов под поверхностью Тихого океана. Один из многочисленных гидротермальных источников Осевой подводной горы, которые являются частью сложной разветвлённой сети

⸻
🔥 Что происходит прямо сейчас
По состоянию на 10 мая 2025 года, под Осеевой подводной горой фиксируется более 600 землетрясений в день. Это примерно в 10 раз больше, чем обычный уровень активности в этом районе.
Морское дно вблизи кальдеры вулкана поднимается — это явный сигнал, что магма движется вверх, скапливаясь под поверхностью. Этот процесс называется «инфляцией», и он почти в точности повторяет картину перед последним извержением в 2015 году.
📈 Сейсмическая активность:
• 13 апреля 2025: зафиксирован всплеск толчков
• С 6 мая: ежедневные землетрясения резко участились
• Сейчас: сотни микроземлетрясений фиксируются ежечасно
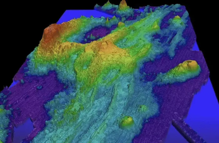
Ученые, наблюдающие за этим вулканом, обнаружили ключевой признак того, что он вот-вот извергнется: поднятие морского дна. На снимке видно жерло вулкана

⸻
🧠 Что говорят эксперты
🗣️ Уильям Уилкок, морской геофизик из Университета Вашингтона:
«Вулкан ведёт себя почти точно так же, как перед извержением 2015 года. Извержение может произойти в любой момент — завтра, через месяц или к концу 2025 года. Мы на грани события».
🗣️ Майк Поланд, учёный из Йеллоустонской обсерватории:
«Axial Seamount — это, пожалуй, самый тщательно изучаемый подводный вулкан в мире. Он не несёт угрозы, но представляет колоссальный научный интерес».
Сейсмическая активность на подводной горе Оксиал растёт в геометрической прогрессии, и сейчас регистрируются сотни землетрясений в день, что свидетельствует о готовящемся извержении


Карта недавних землетрясений на подводной горе Оксиал показала увеличение количества ежедневных землетрясений за последние 7 дней
⸻
Подводный вулкан Аксиал готовится к извержению: ученые фиксируют тревожные сигналы
Аксиальная подводная гора (Axial Seamount), расположенная примерно в 480 километрах от побережья штата Орегон на глубине около 1,5 километра, демонстрирует признаки скорого извержения. Это один из самых активных подводных вулканов в северо-восточной части Тихого океана, с предыдущими извержениями в 1998, 2011 и 2015 годах. 
🌊 Где находится вулкан Axial Seamount?
• 🌍 Расположение: 300 миль (≈480 км) от побережья Орегона
• 🌊 Глубина: более 1500 метров
• 🌋 Тип: щитовой подводный вулкан
• 🗓️ Последние извержения: 1998, 2011, 2015
Вулкан расположен на хребте Хуан-де-Фука — зоне разломов и тектонической активности между Орегоном и Аляской.
⸻
Если подводная гора Оксиал взорвется, это не создаст никакой угрозы для людей, говорят эксперты. Она находится слишком глубоко и слишком далеко от берега, чтобы люди могли заметить её извержение, и она не влияет на сейсмическую активность на суше

«Итак, если он не извергается, значит, он раздувается и готовится к следующему извержению. Поэтому мы постоянно следим за тем, что с ним происходит».
По словам Польши, извержения на вулкане Оксиал-Симаунт были зафиксированы в 1998, 2011 и 2015 годах, и, несомненно, вулкан извергался много раз до этих событий.
В ноябре 2024 года геофизик из Университета штата Орегон Уильям Чедвик начал исследовать вулкан, когда заметил, что его поверхность поднялась почти до той же высоты, которой она достигала перед последним извержением 10 лет назад.
Отёк, возникший перед извержением в 2015 году, позволил Чедвику и его коллегам предсказать это событие.

Этот огромный подводный вулкан находится в 300 милях от побережья Орегона на глубине более 4900 футов под поверхностью Тихого океана
Признаки надвигающегося извержения
Исследователи из Университета Вашингтона и Университета штата Орегон отмечают значительное увеличение сейсмической активности в районе вулкана. В последние недели фиксируется от 200 до 1000 землетрясений в день, что свидетельствует о движении магмы к поверхности . Кроме того, наблюдается “вздутие” морского дна — поднятие поверхности, вызванное накоплением магмы, что также указывает на приближающееся извержение .
📷 Уникальные особенности
• Один из немногих вулканов, где предыдущее извержение было точно предсказано учеными
• Оснащён сетью подводных сенсоров — частью крупнейшей в мире океанской обсерватории
• Выделяется редкой стабильностью циклов извержений (примерно каждые 10 лет)
⸻
Потенциальные последствия
Несмотря на активность вулкана, ученые уверяют, что извержение не представляет угрозы для населения. Вулкан находится слишком глубоко и далеко от берега, чтобы вызвать цунами или ощутимые землетрясения на суше . Однако извержение предоставит уникальную возможность для изучения подводной вулканической активности и ее влияния на морские экосистемы. 
🛑 Есть ли угроза для людей?
Нет. Даже если извержение произойдёт завтра, оно не представляет прямой опасности для населения США или других стран. Axial Seamount слишком глубоко расположен и слишком далеко от берега, чтобы вызвать цунами или другие разрушительные последствия.
📌 Однако подобные события важны для науки — они позволяют лучше понять, как работают вулканические системы в океанах и как можно прогнозировать подобные явления на суше.
⸻
Научное значение
Аксиальная подводная гора является одним из наиболее изученных подводных вулканов благодаря сети датчиков, установленных в рамках Инициативы океанических обсерваторий. Эти инструменты позволяют в реальном времени отслеживать сейсмическую активность, деформации морского дна и химические изменения в воде . Собранные данные помогут ученым лучше понять процессы, происходящие в срединно-океанических хребтах, и улучшить прогнозирование будущих извержений. 
Таким образом, хотя предстоящее извержение Аксиальной подводной горы не представляет опасности для людей, оно является важным событием для науки, предоставляя редкую возможность наблюдать и изучать подводную вулканическую активность в реальном времени.
🔮 Почему это событие уникально
• Может стать первым зафиксированным в режиме реального времени подводным извержением с полным набором научных данных
• Предоставит редкую возможность изучить поведение магмы под морским дном
• Поможет улучшить прогнозирование извержений на суше, включая в потенциально опасных зонах, таких как Йеллоустон
⸻
💬 Цитата дня
«Каждое извержение Axial — это как окно в сердце Земли. И это окно вот-вот откроется», — заявил профессор Уильям Чедвик из Университета штата Орегон.
⸻
📡 Следите за обновлениями — извержение может начаться в любой момент! Ученые наготове, а подводные сенсоры продолжают круглосуточно фиксировать изменения.
⸻
На этот раз наблюдения показали, что вулкан Аксиал-Симонт извергнется до конца 2025 года.
Ученые, наблюдающие за подводной горой Оксиал, обнаружили ключевые признаки того, что она вот-вот извергнется: поднятие морского дна и усиление землетрясений

В ноябре 2024 года геофизик из Университета штата Орегон Уильям Чедвик начал исследовать вулкан, когда заметил, что его поверхность поднялась почти до той же высоты, которой она достигала перед последним извержением 10 лет назад

Вулкан расположен у побережья штата Орегон. На фото — причудливый городок в этом штате

Когда вулкан Аксель наконец извергнется, Уилкок и его коллеги будут использовать этот массив для сбора данных и изображений происходящего.







